Étudiante Master, Rennes 2
Étudiante master Rennes 2
- inventaire topographique, Dinan
-
Le Goanvic JustineLe Goanvic JustineCliquez pour effectuer une recherche sur cette personne.
Étudiante master Rennes 2
Dossier non géolocalisé
-
Aire d'étude et canton
Dinan
-
Commune
Dinan
-
Adresse
7 venelle du Prieuré
,
11 ruelle Saint-Vincent
,
9 ruelle Saint-Vincent
-
Cadastre
2016
AH
27
Surface de la parcelle : 3 931 m²
-
Dénominationsprieuré
-
Dossier dont ce dossier est partie constituante
L'édifice reprend le modèle architectural des malouinières, belles demeures de campagne, représentatives de la richesse des armateurs et négociants malouins des XVIIe et XVIII ème siècles. On retrouve ici la même architecture austère basée sur la symétrie, des façades initialement enduites, sans ornement, souvent à trois travées. Les souches de cheminée à épaulement, le toit à croupes, à forte pente, percé de lucarnes à linteau en arc segmentaire, les oculi, qui indiquent la disposition de l’escalier sont également empruntés à cette architecture. L’avant-corps de la façade arrière, donnant sur le jardin est ici simplifié. L’intérieur a conservé son escalier d’origine à balustres de bois ainsi que des pièces lambrissées de boiseries moulurées.
L’existence du prieuré Saint-Malo est attestée dès le XI ème siècle. L’édifice médiéval sur lequel manquent les informations est déjà au XVII ème siècle à l’état de ruines. Au XVIIIème siècle, le prieuré est rebâti en 1763 à la demande de l’abbé Nouail, également commanditaire des travaux de la chapelle Saint-Joachim, ancienne église Saint-Malo. A cette époque déjà, il ne reste plus rien des bâtiments d’origine. Devenu bien national à la Révolution, l’ancien prieuré est depuis une habitation particulière.
-
Période(s)
- Principale : 18e siècle
-
Dates
- 1763, porte la date
L'extérieur :
Il est composé d’un soubassement, d’un rez-de-chaussée, d’un étage carré et d’un étage de comble. Sa façade est rythmée par trois travées ordonnancées. Le bâtiment possède une toiture à croupes percée de trois lucarnes. Il est construit en moellons et en pierres de taille de granite, et destiné à l’origine à être enduit. Les linteaux des ouvertures sont en arc segmentaire et deux oculi,surmontés d’arc de décharge, sont visible au niveau de l’étage carré. Au-dessus de la porte d’entrée, une pierre porte la date de 1763.
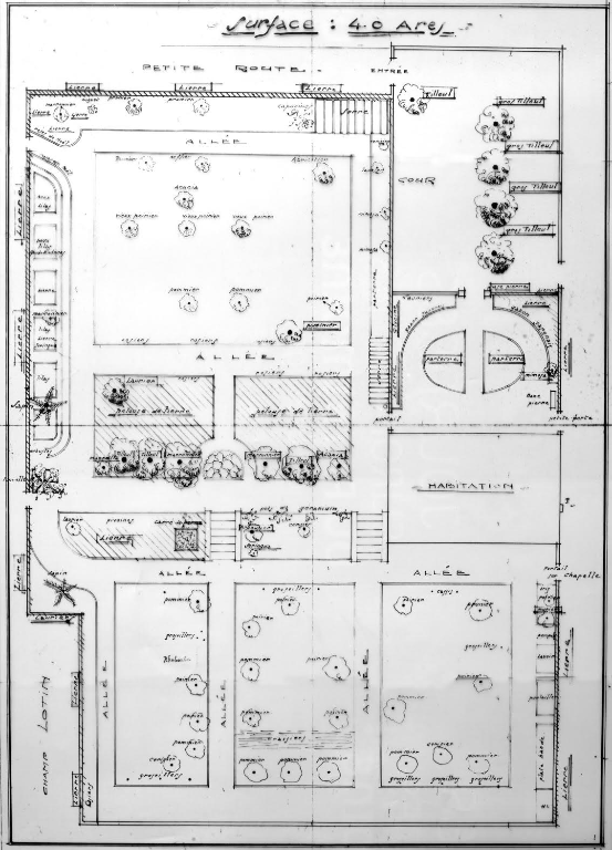
Le jardin du prieuré, était auparavant un jardin à la française comme le montre un plan, non daté de la première moitié du 20e siècle. Il est clôturé de murs de moellons et se répartit sur deux niveaux. Une serre en verre et fer forgé est accolée à un mur de clôture. Un pavillon à l’angle de deux murs de clôture, au bout du jardin, servait de latrines.
Les intérieurs
L’intérieur du prieuré est constitué de plusieurs pièces, toutes pourvues d’une cheminée. Ces pièces se commandent en enfilade mais sont également directement desservies par l’entrée qui contient l’escalier, à gauche. Aux étages supérieurs, elles sont toutes accessibles par un couloir.
Les décors et menuiseries :
L’escalier d’origine en bois desservant les différents niveaux prend appui sur un poteau qui part du sous-sol et va jusqu’aux combles. Une porte d’origine sous l’escalier, et qui a conservé ses garnitures métalliques, permet d’accéder au sous-sol. Les pièces ont conservé d’élégantes boiseries sobrement moulurées qui datent du XVIIIème siècle. Les cheminées en marbre de Carrare et les rosaces néoclassiques ont été ajoutées au XIXème siècle.
-
Murs
- granite pierre de taille
- granite moellon
-
Toitsardoise
-
Plansplan rectangulaire symétrique
-
Étagessous-sol, rez-de-chaussée, 1 étage carré, étage de comble
-
Élévations extérieuresélévation ordonnancée
-
Couvertures
- toit à plusieurs pans croupe
-
Escaliers
- escalier de distribution extérieur : escalier droit en maçonnerie
- escalier dans-oeuvre : escalier tournant à retours sans jour en charpente
-
Jardinsgroupe d'arbres, pelouse, salle de verdure, massif de fleurs
-
Statut de la propriétépropriété d'une personne privée
- (c) Ville de Dinan
- (c) Archives départementales des Côtes-d'Armor
- (c) Université de Rennes 2
- (c) Ville de Dinan
- (c) Université de Rennes 2
- (c) Université de Rennes 2
- (c) Université de Rennes 2
- (c) Université de Rennes 2
- (c) Université de Rennes 2
- (c) Université de Rennes 2
- (c) Université de Rennes 2
- (c) Université de Rennes 2
- (c) Université de Rennes 2
- (c) Université de Rennes 2
- (c) Université de Rennes 2
- (c) Université de Rennes 2
- (c) Université de Rennes 2
- (c) Université de Rennes 2
- (c) Université de Rennes 2
- (c) Université de Rennes 2
- (c) Université de Rennes 2
- (c) Université de Rennes 2
- (c) Université de Rennes 2
- (c) Université de Rennes 2
- (c) Université de Rennes 2
- (c) Université de Rennes 2
- (c) Université de Rennes 2
Documents d'archives
-
-
-
-
Archives départementales des Côtes-d'Armor : 6 M
Consultation en ligne sur le site : http://archives.cotesdarmor.fr
Bibliographie
-
Bibliothèque municipale de Dinan : US/FB 944.12 PAY (03)
MEHEUT Michel, "Le Prieuré Saint-Malo de Dinan", in : Le Pays de Dinan, Dinan, Bibliothèque de Dinan, 2003, t. XXIII
VILBERT Loïc-René, "Les Pierres tombales du prieuré Saint-Malo", in : Le Pays de Dinan, Dinan, Bibliothèque de Dinan, 2003, t. XXIII
p.287-301
Documents figurés
-
Archives municipales de Dinan : 1 G 1
Cadastre napoléonien, Dinan, 1811, plans (tableau d’assemblage, section A, section B, section C) et matrices cadastrales
-
-
-
Étudiante master Rennes 2
Étudiante master Rennes 2