Ferme du 19e siècle représentative de son type et de sa période de construction.
Dossier d’œuvre architecture IA35001036
| Réalisé par
;
Quillivic Claude
Quillivic Claude
Cliquez pour effectuer une recherche sur cette personne.
- inventaire préliminaire, Baguer-Morvan
Ferme, la Pointe à Pitre (Baguer-Morvan°
Œuvre recensée
Auteur
-
Quillivic ClaudeQuillivic ClaudeCliquez pour effectuer une recherche sur cette personne.
Dossier non géolocalisé
Localisation
-
Aire d'étude et canton
Ille-et-Vilaine - Dol-de-Bretagne
-
Commune
Baguer-Morvan
-
Lieu-dit
la Pointe à Pitre
-
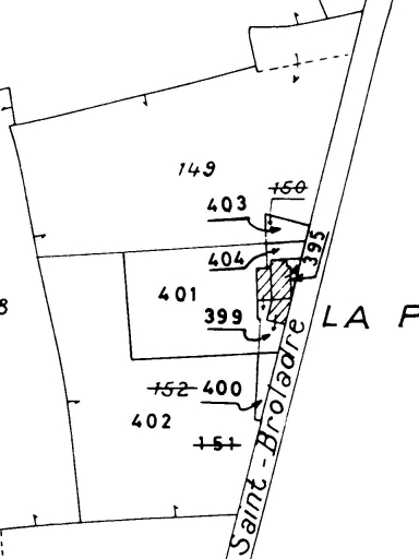
Cadastre
1982
B 142, 399 à 404
-
Dénominationsferme
-
Période(s)
- Principale : 2e moitié 19e siècle
-
Murs
- granite
- moellon
-
Toitsardoise
Données complémentaires architecture IP35
- DENO
- HYPOI maison élémentaire à une pièce
- HYPOE
- PHYPO
- STYL normalisation
- NOTA
- MURS1 granite ; moellon
- MURS2
- SCLE1 2e moitié 19e siècle
- IMPA
- CBATI
- IMBATI
- PERP
- ESPAL
- PASSAGE
- ESPAP
- DISTRIB simple en profondeur
- ORDO
- ELEV
- ETAG
- COMBLE comble à surcroît
- MOUV à porte haute pendante
- RDC
- ACCESA 1
- ACCESP ?
- NATUA porte bâtarde décentrée
- FACCES
- FAXE
- FETAG
- FOUV
- IAUT sans objet
- ICHR typicum
- IESP typicum région ou pays
- ICONTX intégré
- PINTE
- SEL repéré
- TYPVIL
- TYPECA
- POSECA
-
Statut de la propriétépropriété privée
- (c) Inventaire général, ADAGP
- (c) Inventaire général, ADAGP
Documents figurés
-
Plan cadastral rénové, commune de Baguer-Morvan, section B, 1/2500e, 1982.
Date(s) d'enquête :
1997;
Date(s) de rédaction :
1998
Quillivic Claude
Quillivic Claude
Cliquez pour effectuer une recherche sur cette personne.
Dossiers de synthèse
Articulation des dossiers