stat
Dossier d’œuvre architecture IA35004769
| Réalisé par
- inventaire préliminaire, La Richardais
Maison, 2 avenue de la Rance ; rue de la Gougennais (La Richardais)
Œuvre recensée
Auteur
Dossier non géolocalisé
Localisation
-
Aire d'étude et canton
Ille-et-Vilaine - Dinard
-
Commune
La Richardais
-
Adresse
2 avenue de la Rance
,
rue de la Gougennais
-
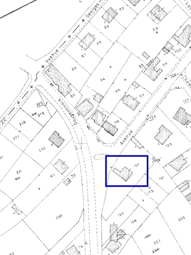
Cadastre
1988
AC
101
-
Dénominationsmaison
-
Parties constituantes non étudiéesjardin, garage
-
Période(s)
- Principale : 2e quart 20e siècle
-
Murs
- granulite
- moellon sans chaîne en pierre de taille
-
Toitsardoise
Données complémentaires architecture IP35
- DENO
- HYPOI maison élémentaire à deux pièces
- HYPOE sans objet
- PHYPO VARIANTE : façade pignon
- STYL normalisation
- NOTA façade pignon ; demi-croupe
- MURS1 granulite ; moellon sans chaîne en pierre de taille
- MURS2
- SCLE1 2e quart 20e siècle
- IMPA
- CBATI
- IMBATI
- PERP
- ESPAL
- PASSAGE
- ESPAP
- DISTRIB double en profondeur
- ORDO -1
- ELEV
- ETAG
- COMBLE comble à surcroît
- MOUV autre cas
- RDC -1
- ACCESA 1
- ACCESP
- NATUA porte bâtarde centrée
- FACCES
- FAXE
- FETAG
- FOUV
- IAUT sans objet
- ICHR typicum
- IESP typicum région ou pays
- ICONTX intégré
- PINTE
- SEL repéré
- TYPVIL
- TYPECA
- POSECA
-
Statut de la propriétépropriété privée
- (c) Inventaire général, ADAGP
- (c) Inventaire général, ADAGP
Documents figurés
-
Commune de La Richardais. Plan cadastral. Section AC. Plan, 1988, échelle : 1/1000e. (Mairie de La Richardais).
Date(s) d'enquête :
2000;
Date(s) de rédaction :
2000
Dossiers de synthèse
Articulation des dossiers