Photographie impossible.
Dossier d’œuvre architecture IA35006398
| Réalisé par
- inventaire préliminaire, Le Minihic-sur-Rance
Maison, 5 rue des Vallées (Le Minihic-sur-Rance)
Œuvre recensée
Auteur
Dossier non géolocalisé
Localisation
-
Aire d'étude et canton
Ille-et-Vilaine - Dinard
-
Commune
Minihic-sur-Rance (Le)
-
Lieu-dit
la Haute Rabinais
-
Adresse
5 rue des Vallées
-
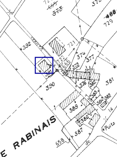
Cadastre
1982
A 391, 392
-
Dénominationsmaison
-
Parties constituantes non étudiéesjardin, cour
-
Période(s)
- Principale : 1er quart 20e siècle
-
Murs
- brique
-
Toitsardoise
Données complémentaires architecture IP35
- DENO
- HYPOI maison élémentaire à deux pièces
- HYPOE sans objet
- PHYPO
- STYL normalisation
- NOTA
- MURS1 brique
- MURS2
- SCLE1 1er quart 20e siècle
- IMPA
- CBATI
- IMBATI
- PERP
- ESPAL
- PASSAGE
- ESPAP
- DISTRIB simple en profondeur
- ORDO -1
- ELEV
- ETAG
- COMBLE comble à surcroît
- MOUV autre cas
- RDC -1
- ACCESA 1
- ACCESP
- NATUA porte à battant unique centrée
- FACCES
- FAXE
- FETAG
- FOUV
- IAUT sans objet
- ICHR typicum
- IESP typicum région ou pays
- ICONTX intégré
- PINTE
- SEL repéré
- TYPVIL
- TYPECA
- POSECA
-
Statut de la propriétépropriété privée
- (c) Inventaire général, ADAGP
Documents figurés
-
Commune du Minihic-sur-Rance. Plan cadastral. Section J. Levée, 1982 3e éd., échelle : 1/2000e. (Mairie du Minihic-sur-Rance).
Date(s) d'enquête :
2000;
Date(s) de rédaction :
2000
Dossiers de synthèse
Articulation des dossiers