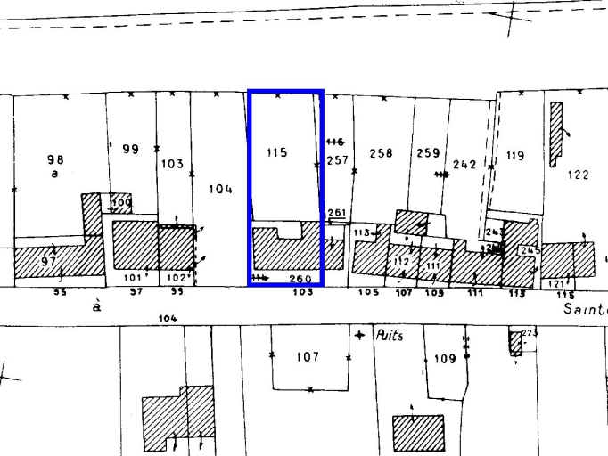
Maison, 101 rue du Han (Cherrueix),
Plan de situation sur le cadastre de 1982Immatriculation
        IVR53_19983501286NUC
      
            Auteur de l'illustration
            
          
          - 
  
  
    
  
  Quillivic ClaudeQuillivic ClaudeCliquez pour effectuer une recherche sur cette personne.
Copyright
        
      Diffusion
        reproduction soumise à autorisation du titulaire des droits d'exploitation
      Type
        phototype numérique
      
      Besoin d'informations sur cette illustration ?
    
    Nous contacter 
  
        Informations techniques
      
      - 
              Technique de relevé- relevé manuel
 
 
         
      