École pratique d'industrie, actuellement lycée technique Laënnec, 70 boulevard René-Laënnec (Rennes),
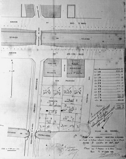
Plan d'un terrain municipal à vendre sis à l'angle du boulevard René-Laënnec et avenue du Gué du Baud, dessin, dressé par l'inspecteur de la voirie, 1887 (A.C. Rennes).Immatriculation
IVR53_19993501319X
Auteur de l'illustration
Copyright
Diffusion
reproduction soumise à autorisation du titulaire des droits d'exploitation
Type
phototype argentique
Besoin d'informations sur cette illustration ?
Nous contacter
Informations techniques
-
Technique de relevé
- relevé manuel