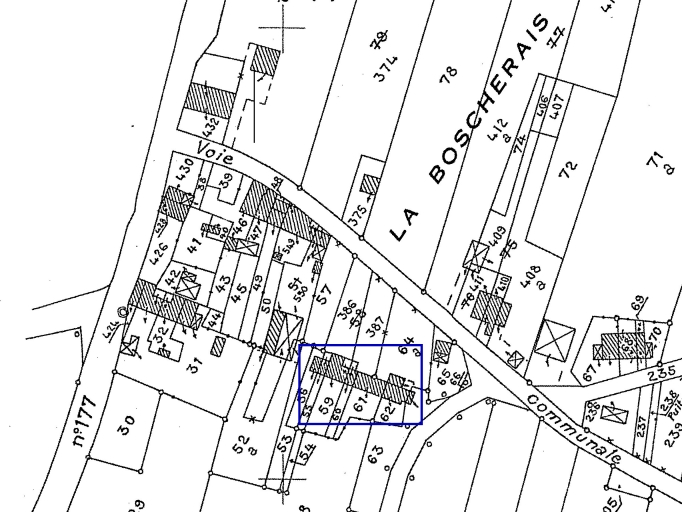
Alignement de logis, la Baucherais (Saint-Just),
Vue de situation sur le cadastre de 1986Immatriculation
IVR53_20003512840NUC
Auteur de l'illustration
-
Lauranceau EliseLauranceau EliseCliquez pour effectuer une recherche sur cette personne.
Copyright
Diffusion
reproduction soumise à autorisation du titulaire des droits d'exploitation
Type
phototype numérique
Besoin d'informations sur cette illustration ?
Nous contacter
Informations techniques
-
Technique de relevé
- relevé manuel