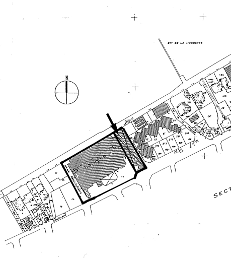
Kiosque du Figaro, 127 digue de Paramé (Saint-Malo),
Extrait cadastral, section A, parcelle 15.Immatriculation
IVR53_20083508364Z
Auteur de l'illustration
(reproduction)
-
Delmotte PascaleDelmotte PascaleCliquez pour effectuer une recherche sur cette personne.
Copyright
Diffusion
reproduction soumise à autorisation du titulaire des droits d'exploitation
Type
phototype argentique
Besoin d'informations sur cette illustration ?
Nous contacter