Cette ancienne exploitation agricole est l'une des trois fermes modèles recensées sur la commune avec celle des Chambôts et celle de la Chaudronnette. Elle a été bâtie au début du 20e siècle sur le fonds d'une propriété plus ancienne dont plusieurs bâtiments déclassés ont été conservés. L'un d'eux porte la date 1640 ; un autre présente une fenêtre barreaudée.
Dossier d’œuvre architecture IA35042959
| Réalisé par
Lauranceau Elise
;
Lauranceau Elise
Cliquez pour effectuer une recherche sur cette personne.
- inventaire préliminaire, Bains-sur-Oust
Ancienne ferme 1, la Vigne (Bains-sur-Oust)
Œuvre recensée
Auteur
-
Lauranceau EliseLauranceau EliseCliquez pour effectuer une recherche sur cette personne.
Dossier non géolocalisé
Localisation
-
Aire d'étude et canton
Ille-et-Vilaine - Redon
-
Commune
Bains-sur-Oust
-
Lieu-dit
la Vigne
-
Cadastre
1817
T1
;
1847
M4
;
1983
YA
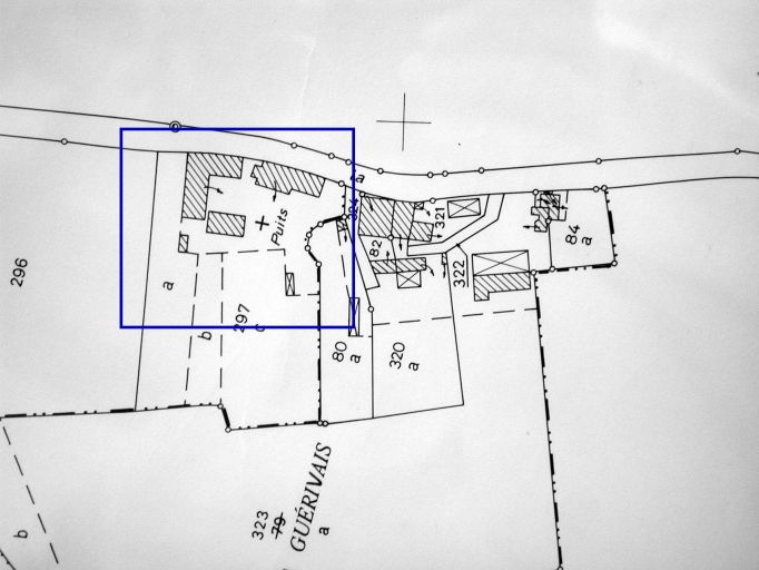
297
-
Dénominationsferme
-
Destinationsmaison
-
Parties constituantes non étudiéescour, puits, étable, grange, four, porcherie, remise, ferme
-
Période(s)
- Principale : 1ère moitié 19e siècle
- Principale : 1er quart 20e siècle
- Secondaire : 2e quart 17e siècle
-
Dates
- 1640, porte la date
Les entourages des baies du logis construit au 20e siècle sont en pierre de taille de granite.
-
Murs
- schiste
- granite
- moellon sans chaîne en pierre de taille
- appareil mixte
-
Toitsardoise
Données complémentaires architecture IP35
- DENO
- HYPOI maison élémentaire à deux pièces
- HYPOE autre
- PHYPO
- STYL normalisation
- NOTA
- MURS1 schiste ; granite ; moellon sans chaîne en pierre de taille ; appareil mixte
- MURS2
- SCLE1 1ère moitié 19e siècle ; 1er quart 20e siècle
- IMPA
- CBATI
- IMBATI
- PERP
- ESPAL
- PASSAGE
- ESPAP
- DISTRIB simple en profondeur
- ORDO -1
- ELEV
- ETAG
- COMBLE comble à surcroît
- MOUV à porte haute pendante
- RDC
- ACCESA 1
- ACCESP ?
- NATUA porte à battant unique centrée
- FACCES
- FAXE
- FETAG
- FOUV
- IAUT sans objet
- ICHR typicum
- IESP typicum
- ICONTX intégré
- PINTE
- SEL sélection requise
- TYPVIL
- TYPECA
- POSECA
-
Statut de la propriétépropriété privée
- (c) Inventaire général, ADAGP
- (c) Conseil général d'Ille-et-Vilaine
- (c) Conseil général d'Ille-et-Vilaine
- (c) Inventaire général, ADAGP
- (c) Inventaire général, ADAGP
- (c) Inventaire général, ADAGP
- (c) Inventaire général, ADAGP
Documents figurés
-
Ille-et-Vilaine. Commune de Bains-sur-Oust. Plan cadastral. Section YA, plan cadastral, 1983, échelle : 1/2000.
-
Ille-et-Vilaine. Commune de Bains-sur-Oust. Section T dite du Bourg, feuille 1, plan cadastral napoléonien, échelle : 1/2 500e, 1817. (A.D. Ille-et-Vilaine : 3 P 5611).
-
Ille-et-Vilaine. Commune de Bains-sur-Oust. Section M dite du Bourg, feuille 4, plan cadastral napoléonien, échelle : 1/1 000e, par le géomètre Demay, 1847. (A.D. Ille-et-Vilaine : 3 P 5245).
Date(s) d'enquête :
2001;
Date(s) de rédaction :
2001
Lauranceau Elise
Lauranceau Elise
Cliquez pour effectuer une recherche sur cette personne.
Dossiers de synthèse
Articulation des dossiers